新築一戸建て

小平市回田町 全10棟1号棟 新築分譲住宅[分譲区画]

  NEW

掲載情報更新日:2026年04月26日 次回更新予定日:2026年05月10日

5,750万円

月々のお支払い例


万円


計算

※ 月々のお支払例は目安の試算となりますので、金融機関や商品によって借入金額の条件は異なります。詳しくは店舗までお問合わせください。

所在地

小平市回田町

交通

西武多摩湖線『一橋学園』 徒歩19分 (約1520m)
JR中央本線『武蔵小金井』 バス乗車12分 回田町 停 徒歩2分 (約160m)

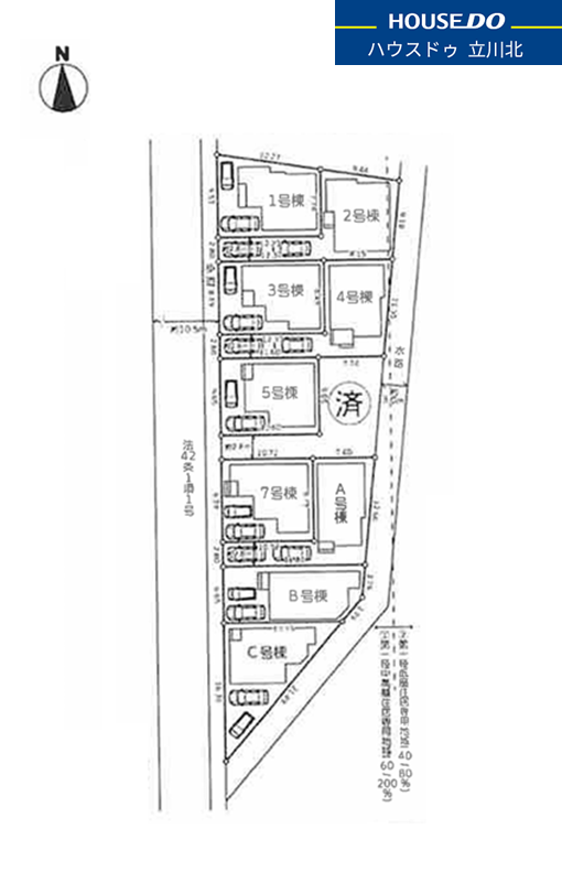
分譲区画マップ

販売状況

1号棟売り出し中
2号棟売り出し中
3号棟売り出し中
4号棟売り出し中
5号棟売り出し中
7号棟売り出し中
A号棟売り出し中
B号棟売り出し中
C号棟売り出し中
区画番号価格(税抜)建物面積敷地面積建ぺい率/容積率詳細
1号棟 分譲詳細画像

5,750万円

延べ:100.10m2(30.28坪)
1F:51.75m2
2F:48.44m2
105.10m2
(31.79坪)
60%/200%

詳細をみる

2号棟 分譲詳細画像

5,130万円

延べ:100.10m2(30.28坪)
1F:53.82m2
2F:46.37m2
121.60m2
(36.78坪)
60%/200%
(一部40%を含む)

詳細をみる

3号棟 分譲詳細画像

5,580万円

延べ:100.10m2(30.28坪)
1F:53.82m2
2F:46.37m2
105.10m2
(31.79坪)
60%/200%

詳細をみる

4号棟 分譲詳細画像

4,980万円

延べ:100.10m2(30.28坪)
1F:47.61m2
2F:52.58m2
120.10m2
(36.33坪)
60%/200%
(一部40%を含む)

詳細をみる

5号棟 分譲詳細画像

5,580万円

延べ:100.10m2(30.28坪)
1F:52.99m2
2F:47.20m2
105.10m2
(31.79坪)
60%/200%

詳細をみる

7号棟 分譲詳細画像

5,650万円

延べ:100.10m2(30.28坪)
1F:54.55m2
2F:45.54m2
105m2
(31.76坪)
60%/200%

詳細をみる

A号棟 分譲詳細画像

5,080万円

延べ:100.60m2(30.43坪)
1F:49.89m2
2F:50.72m2
105m2
(31.76坪)
60%/200%

詳細をみる

B号棟 分譲詳細画像

5,380万円

延べ:100.30m2(30.34坪)
1F:52.48m2
2F:47.82m2
106.50m2
(32.21坪)
60%/200%

詳細をみる

C号棟 分譲詳細画像

5,280万円

延べ:100.40m2(30.37坪)
1F:51.13m2
2F:49.27m2
114.10m2
(34.51坪)
60%/200%

詳細をみる

分譲区画の詳細はこちら

物件の設備

公共下水

公営水道

都市ガス

電気

物件の特徴

制震構造

耐震構造

小学校徒歩10分以内

2沿線利用可

スーパーが近い

市街地が近い

都市近郊

閑静な住宅街

2階建

陽当り良好

通風良好

分譲地情報

分譲地名 小平市回田町 全10棟 新築分譲住宅
販売区画数 9戸 総区画数 10戸
価格 4,980万円~5,750万円
最多価格帯
交通 西武多摩湖線 一橋学園 徒歩19分 ~ 19分 (約1520m ~ 1520m)
JR中央本線 武蔵小金井 バス乗車12分 回田町 停 徒歩2分 ~ 2分 (約160m ~ 160m)
土地面積 105.00㎡ ~121.60㎡
建物面積 100.10㎡ ~100.60㎡
都市計画 市街化区域 用途地域 1種中高(一部1種低層 含む)
建ぺい率 60%(一部40% 含む) 容積率 200%(一部80% 含む)
地目 地勢
許可番号 土地国士法
法令制限
小学校区 第三小学校 徒歩2分 ~2分 (約150m ~150m)
中学校区 小平第三中学校 徒歩23分 ~23分 (約1800m ~1800m)
周辺環境情報
備考 業務スーパー・・・徒歩1分/いなげや・・・徒歩3分/ウェルパーク・・・徒歩3分/ジュンレディースクリニック・・・徒歩1分/小平市喜平図書館・・・徒歩2分/若竹幼稚園・・・徒歩2分
分譲地番号 259708

電話で問合せ

通話料無料

0120-537-936

定休日:GW、夏季、冬季
営業時間:9:00~18:00

物件番号をお伝えください

物件番号

4692802

【取扱い店舗】ハウスドゥ 立川北取扱い店舗情報
ナビ女性画像

【取扱い店舗情報】

ハウスドゥ 立川北
取扱会社:株式会社シティリノベーション
所在地:〒190-0004 東京都立川市柏町3-19-14 フレンテ1F
フリーダイヤル:0120-537-936
電話番号:042-537-9361 FAX:042-519-4694
免許番号:東京都知事(2)第100954号
所属団体:(公社)東京都宅地建物取引業協会会員
(公社)全国宅地建物取引業保証協会会員
(公社)首都圏不動産公正取引協議会加盟
定休日:GW、夏季、冬季
営業時間:9:00~18:00

もっとたくさん物件がみたい!という方へ

店頭で

店頭ではHPに掲載できない物件を併せて
690件をご案内できます!

Webで

ご希望にマッチした物件や、新着・値下げ情報を
即日メールにてお届けします!

ページトップ

ページトップ